Configuring the Use of the AutoRun Pipeline
In XNAT version 1.9 onwards, the Pipeline Engine Framework now requires two components:
Please note that these Administrative settings are now accessible via the Plugin Settings UI.
As of XNAT 1.8.0, the AutoRun pipeline is no longer enabled by default as a part of the session archiving process. As such, an XNAT installation no longer requires the Pipeline Engine.
Controls have been added to allow site administrators and project owners to re-enable this pipeline, but your XNAT must have the Pipeline Engine installed to use it. See Installing the Pipeline Engine.
The AutoRun pipeline in XNAT traditionally served two functions as part of the session archiving process: generating snapshot images for each scan, and emailing project owners when the session archiving process finishes. Snapshots can now be generated on demand – see Generating Scan Snapshots and Montages in XNAT – but there has yet to be a replacement email function introduced in XNAT.
The Admin UI now offers a set of configuration options in the control panel at Administer > Plugin Settings > Pipeline Settings.

Launch AutoRun
When this setting is enabled, the site-wide default behavior will be to launch the AutoRun pipeline at the end of the process of archiving an image session to a project. This setting is disabled by default.
Allow Project Override
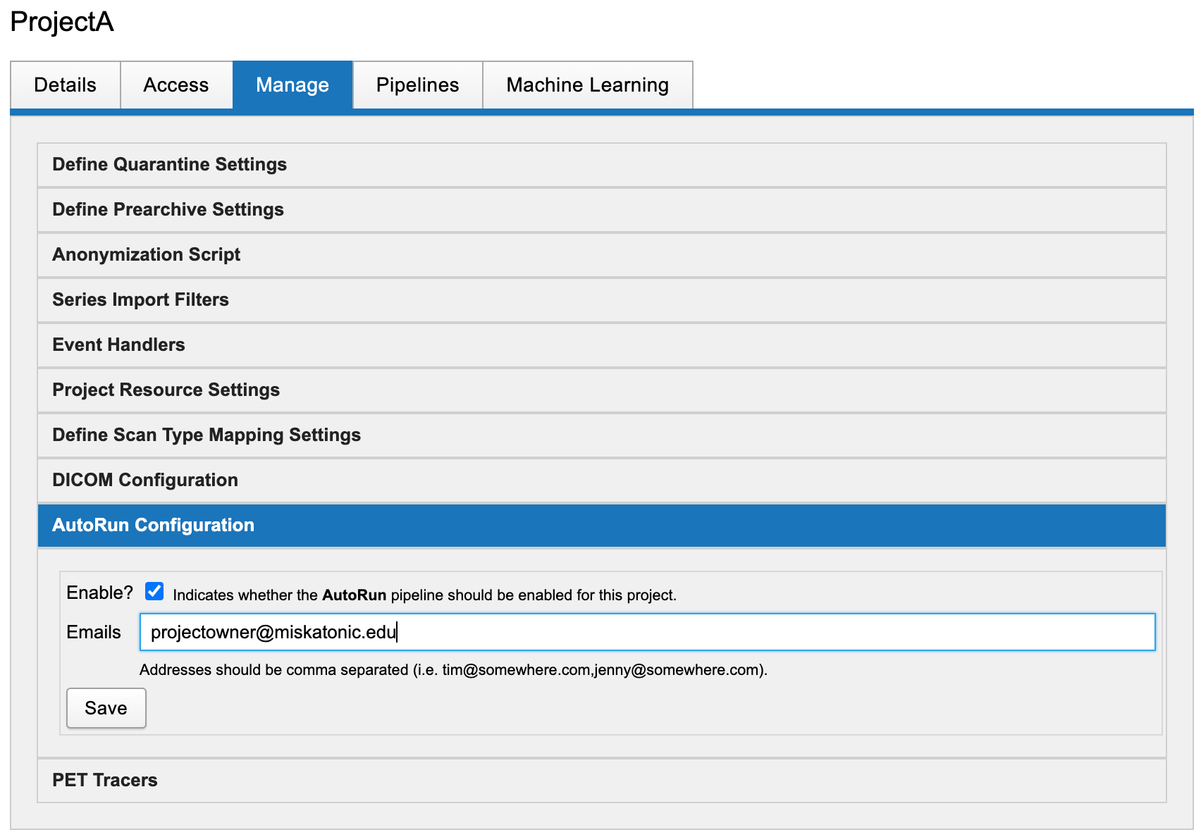
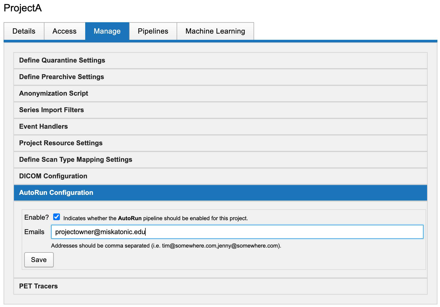
When this setting is enabled, regardless of the value of the site-wide behavior, Project Owners will be able to set their own preference for whether the AutoRun pipeline should execute as part of the session archiving process. For Project Owners, this control shows up in the "Manage" tab on the project report page, in a new panel called "AutoRun Configuration".

By default, the "Enable" checkbox will be set to the same value as the site-wide preference. A change to the site-wide preference may change the value of your project's AutoRun setting.
API Settings
A JSON map of sitewide AutoRun preferences can be retrieved with a GET or set with a POST to /xapi/pipelines
. An example JSON map of these preferences looks like this:
{
"allowAutoRunProjectOverride": false,
"autoRunEnabled": false
}
The project-specific preference to enable or disable the AutoRun Pipeline can be retrieved with a GET or set with a PUT to /xapi/pipelines/autoRun/projects/{PROJECT_ID}
. A simple boolean value of true or false is sent.
Likewise, the project-specific list of recipients of notifications from the AutoRun pipeline can be managed by collating a comma-separated list of emails and submitting them in the body of a PUT to /data/projects/{PROJECT_ID}/resources/notifications/files/archival.lst?inbody=true&overwrite=true&content=NOTIFY_ARCHIVAL
See XNAT Pipeline API.